Jamaica Faces the Fury of Hurricane Melissa: A Nation Tested by Nature
jamaica hurricane

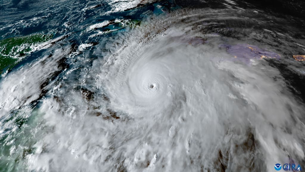
Hurricane Melissa struck Jamaica with unprecedented force, marking one of the most powerful and destructive storms in the island’s history. Making landfall in late October 2025, Melissa unleashed catastrophic winds, torrential rain, and widespread flooding that reshaped entire communities. The hurricane did more than damage infrastructure — it exposed the fragility of an island nation standing at the frontline of climate change.

As the hurricane approached from the Caribbean Sea, it rapidly intensified into a Category 5 storm, packing sustained winds exceeding 185 mph. The southwestern coast of Jamaica bore the full brunt of its impact, with the parishes of Westmoreland, Manchester, and St. Elizabeth suffering immense destruction. Whole neighborhoods were submerged as rivers overflowed their banks, cutting off major highways and isolating towns. Power lines collapsed, roofs were torn away, and telecommunications networks went down for days.
The scale of the power outage was staggering — nearly three-quarters of the island lost electricity. In many areas, residents relied on generators and community centers for basic needs such as clean water and communication. Floodwaters lingered for days, leaving debris, mud, and stagnant pools that threatened public health. For farmers, the storm was devastating. Fields of bananas, sugarcane, and vegetables were wiped out overnight. Agricultural losses are expected to have long-term effects on food prices and rural livelihoods.
In the tourism sector, the backbone of Jamaica’s economy, the blow was equally severe. Resorts along the coast were damaged or completely destroyed. Many hotels evacuated guests before landfall, but some tourists were stranded as airports closed and roads became impassable. The storm’s timing, coming just before the winter tourism season, created additional economic uncertainty. Rebuilding efforts are expected to take months, possibly years, and the financial strain will test both private businesses and government resources.
The human cost of Hurricane Melissa was heartbreaking. Dozens of lives were lost, and many more people remain missing. Tens of thousands were displaced, taking refuge in emergency shelters across the island. In some areas, shelters became overcrowded, while in others, people hesitated to evacuate due to fear of theft or poor conditions. The storm’s rapid intensification gave communities little time to prepare, underscoring the need for better disaster communication and trust in public warnings.
The government mobilized national emergency services, the defense force, and local volunteers to deliver aid and conduct search-and-rescue operations. Relief supplies — food, water, fuel, and medical care — began reaching the most affected parishes within days, but logistics proved difficult. Many rural areas were accessible only by air or by foot due to collapsed bridges and blocked roads. The cleanup operation is immense, and the psychological toll on residents is still unfolding.
Experts say that a combination of environmental and social factors amplified the disaster’s impact. Jamaica’s infrastructure, though improved in recent decades, remains vulnerable to extreme weather. Many coastal homes are built with light materials that cannot withstand hurricane-force winds. Additionally, deforestation in certain regions has worsened flooding by reducing natural drainage. Meanwhile, warming ocean temperatures have increased the frequency and intensity of Caribbean hurricanes — a clear sign of the global climate crisis.
People are asking critical questions in the aftermath of the storm:
**Why was Hurricane Melissa so destructive?**
The hurricane’s extreme power came from rapid intensification fueled by unusually warm ocean waters and favorable atmospheric conditions. It struck land at full strength with minimal weakening, hitting areas with limited protective infrastructure and low elevation, which increased flooding and wind damage.
**Was Jamaica prepared for the hurricane?**
Emergency warnings were issued in advance, and shelters were opened, but the storm intensified faster than expected. Some residents ignored evacuation orders, while others had nowhere safe to go. The situation revealed the need for stronger housing, better drainage systems, and improved public awareness campaigns.
**What are the biggest challenges after the storm?**
Restoring power and clean water supplies remains a top priority. Clearing debris, rebuilding roads, and reopening schools and hospitals are ongoing tasks. The government also faces the challenge of preventing disease outbreaks and supporting those who have lost homes and jobs.
**How does this affect Jamaica’s economy?**
The economic impact will be profound. Agriculture and tourism, two of the country’s key industries, suffered massive losses. Many small businesses were destroyed, and rebuilding costs will be high. Recovery will depend on both local efforts and international financial support.
**What does this event reveal about climate change?**
Hurricane Melissa is part of a troubling trend of stronger, faster-forming storms in the Caribbean. It shows how climate change is increasing the risk for island nations, which contribute little to global emissions but suffer disproportionately from their effects. The storm underscores the urgency for climate adaptation — from stronger building codes to improved early-warning systems.
Jamaica now faces the long road to recovery. The resilience of its people is being tested once again, but the spirit of unity that emerged after the storm offers hope. Across the island, communities are coming together to rebuild homes, clear debris, and support those in need. Yet Hurricane Melissa is also a warning — a sign that the era of “once-in-a-century” storms may be over. For Jamaica and the wider Caribbean, the future depends on learning from this disaster and strengthening defenses against the next.
About the Creator
America today
Breaking news, political insights, real-time analysis, U.S. politics, global politics, elections, government policies, international relations, diplomacy, political debates, trending political stories, expert commentary, factual reporting,.



Comments
There are no comments for this story
Be the first to respond and start the conversation.